村名溯源: 岞山站村
发布时间:2017/11/13 22:53:57 | 来源:昌邑之窗 | 点击次数:2004
	
        在原昌邑市岞山镇辖区,不但有个岞山村,还有一个岞山站村。岞山村因岞山之山名而得村名,胶济铁路岞山站同样因山名而得车站名。但岞山站村却源于车站的设立,并见证了车站的百年兴衰。


1944年绘制的昌邑县区域全图岞山镇已经存在

清末民初昌邑县地图
    从地图上看,原昌邑市岞山镇一带清末民初还称龙湾乡,直到民国中后期,胶济铁路岞山站一带商贸经济繁荣起来,才出现岞山镇称谓。又因战乱影响,车站商贸转入萧条,那些慕名前来开设商号的商家多都返回了原籍。再后来,坚守在岞山站的剩余商户们分得了土地,转向农耕,岞山站村雏形初现。

1944年绘制的昌邑县区域全图岞山镇已经存在
1897年11月,德国强迫清政府签订《胶澳租界条约》,控制山东多地矿产及交通资源。
1899年6月,德国人从青岛开始向西修筑胶济铁路。
1904年6月,胶济铁路全线通车,沿途设车站56个,岞山站是其中之一。因附近有山名岞山,而得站名。


韩庆林先生主编《岞山站村志》中


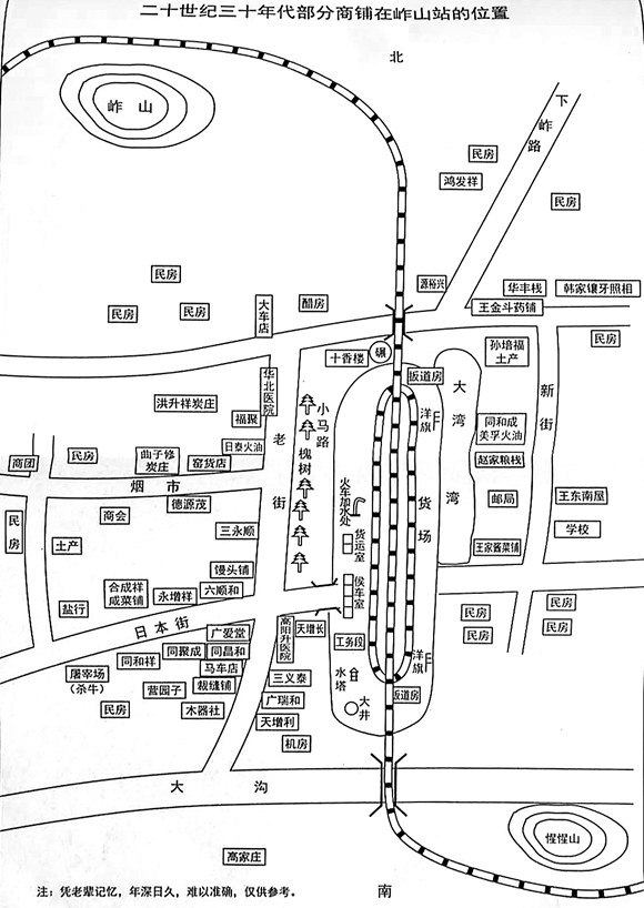
昔日岞山站商铺位置图

1899年6月,德国人从青岛开始向西修筑胶济铁路。
1904年6月,胶济铁路全线通车,沿途设车站56个,岞山站是其中之一。因附近有山名岞山,而得站名。

1905年,昌邑北乡夏店韩华堂父子在火车站西北部开设大车店,石埠王振江兄弟来火车站开设饭店。周边商贾地主纷纷来此建房开铺,创立商号。仅十余年功夫,岞山站便发展成了昌南重镇。
抗战时期,岞山一带战事不断,岞山站商贸经济受到重创,各大商号纷纷停业或迁走,这个昌南重镇也逐渐变得萧条。但还是有些商户,因为在站上建了房舍,或与周边村子有了姻亲,便坚守下来。
1947年岞山站解放后,实行土地改革,岞山站的留守商户们开始由商转农。
1953年第一次人口普查,岞山站有居民72户,302人。
1954年,成立岞山站初级农业合作社。
1958年,岞山镇和和太保庄乡合并,成立钢铁人民公社,后改称岞山人民公社,社机关驻岞山站,岞山站农业合作社改称岞山站大队。
1983年,社改乡,岞山人民公社分为岞山乡和太保庄乡。岞山站大队改称岞山站村。这是“岞山站村”称谓首次出现。 今年春天,韩庆林先生主编的《岞山站村志》一书出版,一批珍贵的文字和图片资料伴随该书的出版首次面世,让我们得以更深入地了解到从列强入侵建站,到国人驱逐倭寇、收回铁路的那段可歌可泣的历史……
抗战时期,岞山一带战事不断,岞山站商贸经济受到重创,各大商号纷纷停业或迁走,这个昌南重镇也逐渐变得萧条。但还是有些商户,因为在站上建了房舍,或与周边村子有了姻亲,便坚守下来。
1947年岞山站解放后,实行土地改革,岞山站的留守商户们开始由商转农。
1953年第一次人口普查,岞山站有居民72户,302人。
1954年,成立岞山站初级农业合作社。
1958年,岞山镇和和太保庄乡合并,成立钢铁人民公社,后改称岞山人民公社,社机关驻岞山站,岞山站农业合作社改称岞山站大队。
1983年,社改乡,岞山人民公社分为岞山乡和太保庄乡。岞山站大队改称岞山站村。这是“岞山站村”称谓首次出现。 今年春天,韩庆林先生主编的《岞山站村志》一书出版,一批珍贵的文字和图片资料伴随该书的出版首次面世,让我们得以更深入地了解到从列强入侵建站,到国人驱逐倭寇、收回铁路的那段可歌可泣的历史……

韩庆林先生主编《岞山站村志》中


昔日岞山站商铺位置图

    岞山,因曾松柏遍山,又曾名万松山。《山东通志》载:“其型岞然高耸”,故名岞山。山南坡缓长,有大道直通山顶。山顶距岞山站约一公里,离潍河数百米,海拔68.9米,面积约一平方公里。